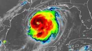
Laura es ahora un huracán de categoría 4 extremadamente peligroso con vientos de 225 km/h, según el más reciente reporte del Centro Nacional de Huracanes.
Laura podría intensificarse aún más según el NHC, y se espera que sea de categoría 4 cuando toque tierra después de la medianoche de esta noche cerca de la frontera de Texas y Louisiana.
Esta es la primera vez en 8 años que Louisiana activa su Guardia Nacional completa
La Guardia Nacional completa de Louisiana ha sido activada antes de que el huracán Laura toque tierra, anunció el gobernador John Bel Edwards en una conferencia de prensa hoy. Dijo que la última vez que el estado activó la guardia completa fue para el huracán Issac en 2012.
«Necesitamos que todos en el suroeste de Louisiana presten mucha atención a esta tormenta», dijo el gobernador Edwards. «Las personas tienen que prestar atención a las advertencias que se les han dado y evacuar», añadió. Dijo que la marejada ciclónica sería “imposible” de sobervivir en algunos lugares en el camino de la tormenta.
«Creemos que habrá una extensa búsqueda y rescate después de esta tormenta», dijo Edwards, parte de la razón para activar la guardia completa.
El gobernador dijo que más de 3.000 miembros de la guardia están actualmente desplegados, y que ese número aumentará esta tarde. Además del personal, 19 aviones, 920.000 litros de agua y más de medio millón de comidas han sido predesplegadas, añadió Edwards.
Cerca de 2.000 habitaciones de hotel fueron aseguradas esta noche para ayudar a albergar a las personas como resultado de la tormenta y también para ayudar con el distanciamiento social, dijo Edwards.
Todo el tráfico comercial a lo largo de la I-10 se está desviando hacia el norte de la I-10 a la I-20, dijo Shawn Wilson, comisionado del Departamento de Transporte de Louisiana, en una conferencia de prensa.
¿Qué es una marejada ciclónica y por qué es peligrosa?
A medida que el poderoso huracán Laura avanza hacia EE.UU., hay preocupación porque es posible que haya fuertes marejadas ciclónicas.
El último aviso del centro advirtió que marejadas ciclónicas hasta 4,5 metros podrían abrumar las costas en Texas y Louisiana
Pero tal vez te estés preguntando (y no serías el único): «¿Qué es una marejada ciclónica?».
Una marejada ciclónica es una elevación gradual del nivel del agua causada por los vientos de una fuerte tormenta mientras se acerca a la orilla.
«Mientras la tormenta se acerca a la costa», dijo a CNN el meteorólogo Gene Norman, «eleva el nivel del agua al enviar esas olas tierra adentro».
Los vientos de tormenta empujan el agua hacia la orilla, dijo Norma. Pero esa agua no solo entra y luego se va.
Con el tiempo, con cada ola que entra, esa agua se empezará a acumular lentamente, elevando el nivel promedio del agua en la orilla –similar a la marea– hasta que termine tragándose una playa o se eleve por encima de un embarcadero.
Esto es lo que sabemos sobre del huracán Laura hasta ahora
El huracán Laura, un ciclón tropical de categoría 3, continúa avanzando hacia las costas del Golfo de Texas y Louisiana.
Esto es lo que sabemos:
Se espera que Laura se fortalezca: el Centro Nacional de Huracanes espera que Laura se fortalezca y se convierta en una poderosa tormenta de categoría 4 antes de tocar tierra cerca de la línea estatal Texas-Louisiana el miércoles por la noche o el jueves temprano, dicen los meteorólogos. Puedes rastrear el camino del huracán aquí.
Es posible que haya fuertes marejadas ciclónicas: el último aviso del centro advirtió que marejadas ciclónicas hasta 4,5 metros podrían abrumar las costas en Texas y Louisiana
Las evacuaciones están en marcha: a partir de esta mañana, más de 1,5 millones de personas en Texas y Louisiana estaban bajo órdenes de evacuación obligatorias y voluntarias. Los funcionarios locales y estatales advierten a los residentes que presten atención a esas advertencias.
Parte de una carretera de Louisiana ya está bajo el agua

Archie Chaisson, presidente de la parroquia Lafourche de Louisiana, dijo que tomó fotos del agua que rebosaba la autopista 1 de Louisiana al sur de Golden Meadow Floodgates.
«Anticipamos que LA 1 estará bajo el agua durante las próximas 24 horas», dijo.
Chaisson dice que hay un aviso de evacuación obligatorio publicado en Lafourche Parish para el área al sur de Golden Meadow Floodgates.
Haley Brink de CNN Weather dice que el pronóstico de marejada ciclónica para esta área es de entre 1,2 a 2,1 metros.
Habrá «marejadas ciclónicas insuperables» en partes de Texas y Luisiana
El Centro Nacional de Huracanes advierte que el huracán Laura podría traer una marejada ciclónica «insuperable» a partes de la costa del Golfo de México.
«Las marejadas ciclónicas insuperables con olas grandes y destructivas causarán daños catastróficos desde el Parque Estatal Sea Rim, Texas, hasta Intracoastal City, Louisiana, incluidos Calcasieu y Sabine Lakes», dijo el centro en su actualización a las 11 a.m. ET.Y no son solo las personas en el golfo las que deberían prepararse: el último aviso dijo que el aumento podría «penetrar hasta 48 kilómetros tierra adentro desde la línea costera inmediata».
«Solo quedan unas pocas horas para proteger la vida y la propiedad, y todas las acciones deben apresurarse hasta su finalización», instó el centro.
Luisiana transporta a los residentes a hoteles en lugar de refugios debido a preocupaciones de covid-19
El estado de Luisiana está transportando activamente a los residentes fuera de sus áreas costeras mientras el huracán Laura se avecina.
Mike Steele, director de comunicaciones de la Oficina de Seguridad Nacional y Preparación para Emergencias del Gobernador del estado de Luisiana, le dijo a Leyla Santiago de CNN: «¿Qué se está haciendo a nivel estatal, en lugar de recogerlos y llevarlos a refugios operados por el estado? Ser recogido y llevado a habitaciones de hotel debido a preocupaciones por el covid-19».
Laura tiene vientos de 185 km/h
Los vientos de Laura han aumentado a 185 km/h y el huracán se ha intensificado rápidamente de la noche a la mañana y probablemente seguirá fortaleciéndose. Se pronostica que Laura se convertirá este miércoles en una tormenta de categoría 4 extremadamente peligrosa antes de tocar tierra esta noche cerca de la frontera de Texas y Louisiana como un gran huracán.
(CNN en español)






